REQUEST A TOUR If you would like to see this home without being there in person, select the "Virtual Tour" option and your agent will contact you to discuss available opportunities.
In-PersonVirtual Tour

$ 880,000
Est. payment | /mo
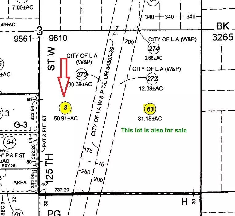
51.51 Acres Lot
$ 880,000
Est. payment | /mo
51.51 Acres Lot
Key Details
Property Type Vacant Land
Listing Status Active
Purchase Type For Sale
MLS Listing ID OC23213059
HOA Y/N No
Lot Size 51.514 Acres
Property Description
Residential Vacant Land 51.494 Acres.
Location
State CA
County Los Angeles
Area Anta - Antelope Acres
Zoning LCA25*
Interior
Fireplace No
Exterior
Community Features Rural
Utilities Available Water Not Available
View Y/N No
View None
Building
Lot Description Agricultural
Water None
New Construction No
Others
Senior Community No
Tax ID 3266006008
Acceptable Financing Cash
Listing Terms Cash
Special Listing Condition Standard

Listed by Tina Yang Pacific Sterling Realty 949-887-9988
GET MORE INFORMATION

Carlos Echegaray
Broker | Lic# DRE 02006401






